Skyline Subdivision

Share Skyline Subdivision on Facebook Share Skyline Subdivision on Twitter Share Skyline Subdivision on Linkedin Email Skyline Subdivision link

Consultation has concluded

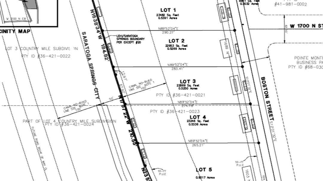
Skyline Subdivision is a 5 lot- commercial development on 3.26 acres located at 1700 North Boston Street. The property is located in the Light Industrial zone, the lots range from 22,869 square feet to 40,584 square feet with at least 76 foot frontage. The lots meet the requirements of the Light industrial requirements. This development is the final third section of Boston Street.

Subdivisions have to be approved when they meet the Development Code requirements, like this one does. The pubic can still leave comments if they have concerns with the area. If there are requirements of the Code that address those concerns they can be required. The Planning Commission may not require anything not in the Development Code. However, public comments can still be helpful so people are aware of the concerns in the area and many times developers are willing to add additional things to their plans to help alleviate neighbors concerns.

Skyline Subdivision is a 5 lot- commercial development on 3.26 acres located at 1700 North Boston Street. The property is located in the Light Industrial zone, the lots range from 22,869 square feet to 40,584 square feet with at least 76 foot frontage. The lots meet the requirements of the Light industrial requirements. This development is the final third section of Boston Street.

Subdivisions have to be approved when they meet the Development Code requirements, like this one does. The pubic can still leave comments if they have concerns with the area. If there are requirements of the Code that address those concerns they can be required. The Planning Commission may not require anything not in the Development Code. However, public comments can still be helpful so people are aware of the concerns in the area and many times developers are willing to add additional things to their plans to help alleviate neighbors concerns.

Public Comment

Provide your official comment to be exported and shared at the Planning Commission Regular Meeting.

Please remember to be civil and respectful to all residents, all commentators, developers and the Commissioners in your comments. All comments will be moderated before they are posted to this site. If anything is offensive it will not be posted here. 

State Law requires the full name of all those who give comments. Please include your name with your comment.

You may wish to attend or watch the Planning Commission meeting when this item is discussed. You can watch it online at https://www.lehi-ut.gov/government/public-meetings/

Consultation has concluded
CLOSED: This discussion has concluded.