Cold Spring Ranch HD3

Share Cold Spring Ranch HD3 on Facebook Share Cold Spring Ranch HD3 on Twitter Share Cold Spring Ranch HD3 on Linkedin Email Cold Spring Ranch HD3 link

Planning Commission provided a positive recommendation to City Council. 

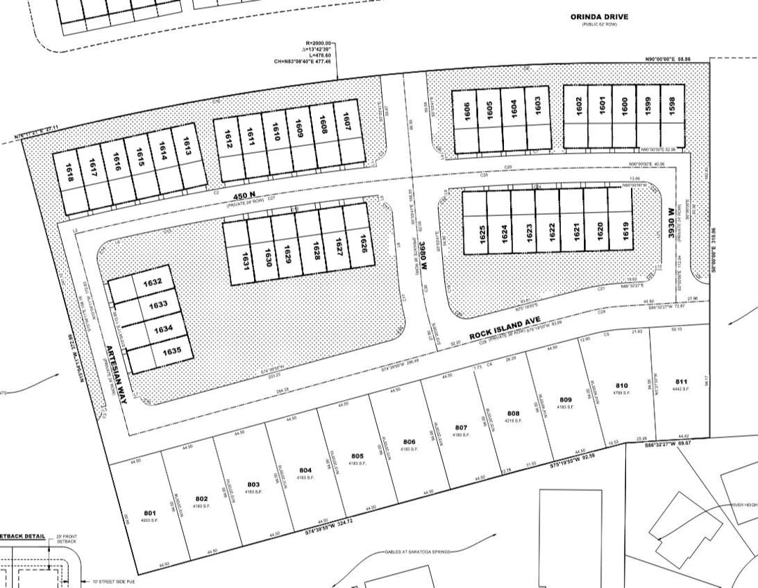
The applicant is requesting review and recommendation of the Cold Spring Ranch HD3 Preliminary Subdivision located at approximately 4000 West Orinda Drive. This subdivision consists of 38 rear-load townhomes, 11 single-family homes, and open space. The proposed subdivision meets the allowed density designated for this property within the area plan which is a maximum of 55 units. The single-family homes are located on the south side of Rock Island Ave and range in size from 4183 to 4442 square feet.

In addition, the Rock Island Ave road and sidewalk are proposed to stub into the property to the east to provide connectivity to future development. Connectivity requirements would require stubbing a road to the west, but the recently approved Cold Spring Ranch Storage facility will be built there and does not show a road stubbing to this property. Understanding this, an exception could be warranted. The applicant met with and worked with staff to arrive on this layout.

Guest parking, consisting of 13 stalls, has been distributed throughout the subdivision to service all of the townhomes.

The applicant is requesting review and recommendation of the Cold Spring Ranch HD3 Preliminary Subdivision located at approximately 4000 West Orinda Drive. This subdivision consists of 38 rear-load townhomes, 11 single-family homes, and open space. The proposed subdivision meets the allowed density designated for this property within the area plan which is a maximum of 55 units. The single-family homes are located on the south side of Rock Island Ave and range in size from 4183 to 4442 square feet.

In addition, the Rock Island Ave road and sidewalk are proposed to stub into the property to the east to provide connectivity to future development. Connectivity requirements would require stubbing a road to the west, but the recently approved Cold Spring Ranch Storage facility will be built there and does not show a road stubbing to this property. Understanding this, an exception could be warranted. The applicant met with and worked with staff to arrive on this layout.

Guest parking, consisting of 13 stalls, has been distributed throughout the subdivision to service all of the townhomes.

Planning Commission provided a positive recommendation to City Council. 

Ask questions to Staff about the project. You may submit a question on here or call Staff directly using the contact information above.